WALDEN SQUARE

Photo by Anton Grassl

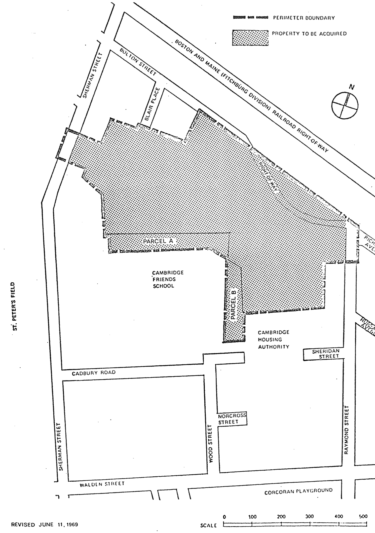
The Walden Square Apartments, located at 21 Walden Square Road, originated in 1969 as one of the Cambridge Redevelopment Authority (CRA)’s urban renewal development projects. The stated purpose of the Walden Square Urban Renewal Area Plan (Walden Square Plan) was to improve the deteriorating area by building new housing, public facilities, and enhancing green spaces. The property was sold to Walden Square Apartment Company in 1971 through a Land Disposition Agreement (LDA), and by 1973, the 240-unit housing project was completed in accordance with the Walden Square Plan.

The primary objectives of the Walden Square Plan (Walden Square Urban Renewal Area Approved Plan (1969)) were to “relieve pressure for housing” and to “expand the City's supply of low- and moderate-income housing.” The original plan also aimed to have a suitable landscape for the visual attractiveness of the area and have active and passive recreation areas for all ages in the community. Further the CRA sought to create pedestrian walkways to facilitate on-site circulation and connections to neighboring streets.

In the property transactions associated with Walden Square Apartments under the LDA, the CRA imposed easements and a covenant on the property to ensure permanent public circulation and to safeguard open space onsite (Tract Disposition and Easement Plan (1971)). The site encompasses two easements across Tract One: Easement Number One (Walden Square Deed Tract 1 (1971)), covering 111,899 square feet, was designated for pedestrian space and public access throughout the site; and Easement Number Two, comprising 453 square feet, was allocated for public access through Building 21. Additionally, Tract Number Two, spanning 11,764 square feet, was reserved for open recreational space as stipulated through a covenant with the deed (Walden Square Urban Renewal Area Deed / Tract Number 2 (1971),). In 1982, the CRA transferred ownership of Easement Number One and Easement Number Two (Grant of Easement (1982)) to the City of Cambridge. WinnCompanies acquired the Walden Square Apartments in 2001 and is the present owner of the property.

DOCUMENTS

Walden Square Urban Renewal Area Approved Plan (1969)

Tract Disposition and Easement Plan (1971)

Walden Square Deed Tract 1 (1971)

Walden Square Urban Renewal Area Deed / Tract Number 2 (1971)

Grant of Easement (1982)

Walden Square Urban Renewal Plan Update (2024)

  • Year Started 1969

    In 1982, the CRA transferred ownership of Easement Number One and Easement Number Two (Attachment D) to theCity of Cambridge.

    WinnCompanies acquired the Walden Square Apartments in 2001.

  • Joel Smith, ext 14, jsmith@cambridgeredevelopment.org

This Project In the News

Dani MacGregor

Web + Graphic Designer with 10+ years of non-profit and creative experience. I have a soft spot for pretty much every cause and charity. I admire all non-profits for their work in every issue and value their contribution in making the world a better place.

Through her blog “Thistle While You Work” this seasoned charity professional shares in-depth knowledge, skills and tricks to open your donors hearts and pockets. She has worked with every type of charity - religious, children, educational, medical, animal, conservation and human rights. Plus she has made over 70+ websites for non profits, thought leaders, authors and even the famously fun Hard Rock.

https://www.charitydesign.co
Previous
Previous

Vassar Street - 2004 and 2008

Next
Next

Galaxy park